一、项目名称
山里人家渔府建设项目
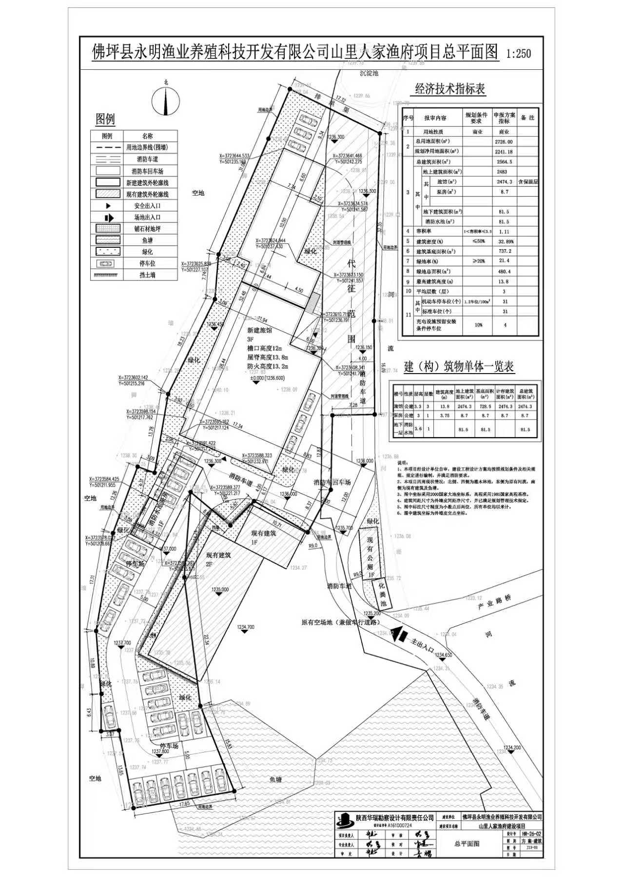
二、建设地点
佛坪县长角坝镇沙窝村
三、技术经济指标
|
规划用地净面积 |
2241.18㎡ |
建筑密度 |
32.89% |
|
|
规划用地性质 |
商业用地 |
容积率 |
1.11 |
|
|
总建筑面积 |
2564.5㎡ |
绿地率 |
21.4% |
|
|
其中 |
地上建筑面积 |
2483㎡ |
建筑高度 |
13.8 |
|
|
地下建筑面积 |
81.5㎡ |
机动车 停车位 |
31辆 |
|
建筑基底面积 |
737.2㎡ |
其中充电设施预留安装条件车位 |
4辆 |
|
四、公布时间
2026年4月16日
五、联系电话
0916-2976639
